Presentación: La energía nuclear – Parte 1
Entrada en mi blog sobre mi presentación, la primera parte de una serie de dos partes en torno a la energía nuclear. … More Presentación: La energía nuclear – Parte 1
Entrada en mi blog sobre mi presentación, la primera parte de una serie de dos partes en torno a la energía nuclear. … More Presentación: La energía nuclear – Parte 1
Esta es una entrada en mi blog dedicada a la memoria del Rev. Michael Dowd, quien fue el profeta cuyo mensaje me inspiró para ser religioso naturalista. … More Recordando a Michael Dowd – Rev. Realidad
Reblogueo de mi antiguo artículo: “La energía nuclear contribuye a remediar el cambio climático. Aquí está la evidencia”. … More Revisión de un artículo sobre la energía nuclear
En esta entrada de mi blog “Escéptico Humanista”, notifico en torno a la presentación de Eva Quiñones, presidenta de Humanistas de Puerto Rico, sobre la energía nuclear. Espero que les guste. … More Presidenta de Humanistas de Puerto Rico habla sobre la energía nuclear
Microsoft llega a un acuerdo con Constellation Energy para reactivar una unidad de la planta nuclear de Three Mile Island. ¿Por qué llama esto la atención? ¿Qué ocurrió con el accidente de TMI? ¿Por qué Microsoft tomó esta decisión tan arriesgada para su imagen pública? ¡Veamos! … More Para servidores de IA, Microsoft quiere la energía nuclear de Three Mile Island
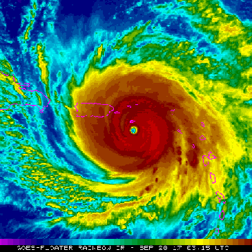
En este pequeño artículo aclaro lo que los científicos a nivel mundial, teniendo en cuenta el hecho del cambio climático, prevén para el futuro de las formaciones de tormentas y huracanes. … More Cambio climático no significa más huracanes, pero sí más intensos
En años recientes, el conocido abogado Jay Fonseca ha contribuido a colocar la opción de la energía nuclear en la conciencia puertorriqueña. Sin embargo, durante este año 2024, mientras ocurre una crisis en la producción energética en Puerto Rico, Fonseca ha colocado varias postales en torno al tema de la generación energética por la vía … More Jay Fonseca habla de la energía nuclear en las redes
Ayer por la mañana, 29 de noviembre de 2023, la prensa en Puerto Rico dio a conocer la noticia de la aprobación de la Resolución Concurrente del Senado 26 (DOC). Esta medida fue radicada por la legisladora novoprogresista Keren Riquelme Cabrera el 19 de enero de 2022 como reacción a unas noticias que se publicaron … More Los errores de la Resolución Concurrente del Senado 26 y la energía nuclear en Puerto Rico
Ayer, viernes 9 de junio de 2023, subí una cápsula en torno al tema de Ucrania, especialmente tras la explosión ocurrida en la represa de Nova Kakhovka, y que afectó a decenas de miles de ucranianos. Esto tiene sus implicaciones también para la planta nuclear de Zaporiyia y quise discutirla en los medios sociales. Coloqué … More Cápsula: Los sucesos de Ucrania y el futuro de la energía nuclear
A medida que pasa el tiempo, nuevas tecnologías nucleares que antes estaban “en teoría”, se están volviendo una realidad. Éste es el caso de cinco tipos de reactores nucleares modulares que o ya están en línea a nivel comercial o están en vías de serlo. No son los únicos, pero quisiera discutirlos. La tecnología de … More La energía nuclear modular ya se ha vuelto una realidad internacional